
【国内正規品】【1年保証】KINUJO プロ ストレートアイロン Straight Hair IronKINUJO キヌージョ 絹女KP001コテ KINUJO PRO KINUJORPO…

【レビュー特典あり】【訳アリ】公式 浄水器のブリタ 交換用カートリッジ マクストラプロ ピュアパフォーマンス3個セット | カートリッジ 浄水ポット マクストラ 日本仕様 ブリタカートリッジ…

【限定ムーミンver.追加★10%OFFクーポン】レビュー高評価!足 マッサージ器 EMS フットマッサージャー NIPLUX ニップラックス LEG FIT ふくらはぎ マッサージ機 コンパクト…

\年末年始大感謝クーポンで最安2,677円/楽天1位 4冠達成 セラミックヒーター ファンヒーター 2秒速暖 小型 静音 省エネ おしゃれ 足元ヒーター 12畳部屋対応 転倒自動オフ…

【アウトレット超特価】タイガー魔法瓶 JPW-Y100KV IHジャー炊飯器 炊きたて 5.5合 モーブブラック

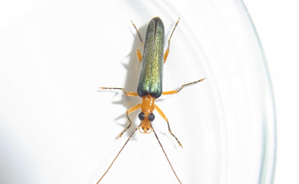
カミキリモドキ科 クロアオカミキリモドキ(9.5-10.5mm) Plants, Plant, Planets
![●楽天1位●【2大特典付き+30レシピ付】レコルト 豆乳メーカー 全自動 豆乳機 スープメーカー 自動調理 ポタージュメーカー ミキサー ブレンダー 保温 スープ 豆乳 おかゆ おから お粥 離乳食 自動調理器 スムージー 味噌汁 豆乳マシン RSY-2[ recolte 自動調理ポット ]](https://thumbnail.image.rakuten.co.jp/@0_mall/roomy/cabinet/500cart_all/500cart_11g/p10n-4/win2006-nx014-1_gt01.jpg?_ex=300x300)
●楽天1位●【2大特典付き+30レシピ付】レコルト 豆乳メーカー 全自動 豆乳機 スープメーカー 自動調理 ポタージュメーカー ミキサー ブレンダー 保温 スープ 豆乳 おかゆ おから お粥…

穂高's Field Notes ~from神奈川の空の下~アオカミキリモドキ

【要エントリー!2026/1/1 0:00〜1/4 9:59まで限定ポイントアップ対象】東芝 過熱水蒸気オーブンレンジ 石窯ドーム 総庫内容量30L ER-YD5000(K)